Jamaican Officials Urge Sheltering from Unstoppable Category 5 Storm

ago 3 months
Jamaican Officials Urge Sheltering from Unstoppable Category 5 Storm

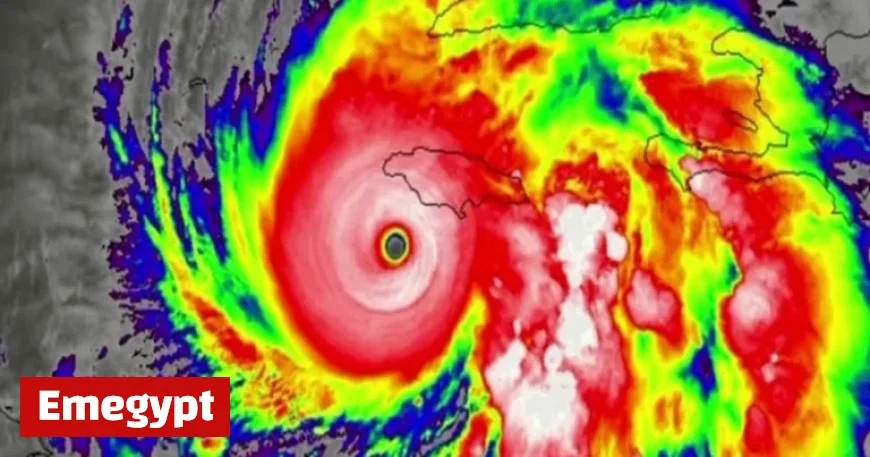
As Hurricane Melissa approaches Jamaica, officials are urging residents to prepare for severe and potentially devastating conditions. With winds classified as a Category 5 storm, the Jamaican Meteorological Service is warning of life-threatening impacts.

Hurricane Melissa: A Category 5 Threat

According to Evan Thompson from the Meteorological Service of Jamaica, Hurricane Melissa’s landfall is expected soon. The storm’s intensity raises serious concerns about the potential for catastrophic damage in the affected regions.

Safety Precautions for Residents

Officials recommend that all residents seek shelter in sturdy buildings. Choosing structures with multiple walls is critical for maximum protection from the storm’s powerful winds and flying debris. Evacuation to safer locations is also advised if necessary.

  • Stay indoors and avoid unnecessary travel.
  • Monitor local news for updates and instructions.
  • Have an emergency kit prepared, including food, water, and medical supplies.

As the situation develops, it is essential for communities to come together and support one another. Preparing for Hurricane Melissa could save lives and mitigate damage across the island.

Community Response and Support

Residents are encouraged to check on neighbors, especially those who may require additional assistance. Local shelters are being set up, and authorities are poised to provide aid as needed.

The focus remains on safety and preparedness as Hurricane Melissa advances. Authorities urge everyone to heed warnings and take the necessary steps to protect themselves and their families during this critical time.